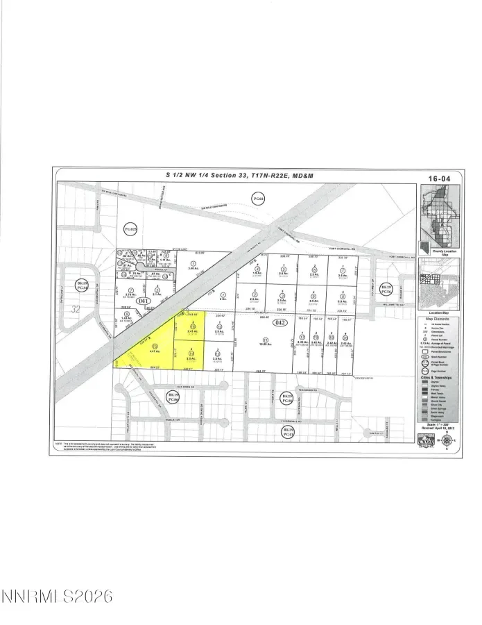
Sale includes 3 parcels totaling 9.4 acres. APNs: 016-042-14, 016-042-15 and 016-042-16. Parcels are on the South East Corner of US Hwy 50 and Occidental. Utilities are stubbed to property, in the street, or very close. Lots of new construction in the area and with the Suburban Residential zoning, the parcels can have a variety of mixed uses. Close to Dayton proper and Carson City is 30 minutes away. The USA Parkway turn off (Tesla, Switch, Blockchain, etc.) is approximately 15 minutes to the East. Excellent opportunity for a buy and hold or a mixed-use plan. Big box commercial, Commercial strip, High density Residential, Multi-family with some neighborhood residential, all good options for this high visibility location. NDOT has traffic counts at approximately 18,000-20,000 vehicles per day with steady rise due to housing growth and regional commuting. Currently (2) two of the parcels have commercial zoning with a Suburban residential overlay. Parcels will all be sold together. Possible owner carry with mutually acceptable rate and terms.
Property Details
Price:
$1,375,000
MLS #:
260003198
Status:
Active
Beds:
0
Baths:
0
Type:
Land
Listed Date:
Mar 20, 2026
Lot Size:
409,464 sqft / 9.40 acres (approx)
Schools
Elementary School:
Dayton
Middle School:
Dayton
High School:
Dayton
Interior
Exterior
Other Structures
None
Financial
Taxes
$442
Map
Contact Us
Mortgage Calculator
Community
- Address0000 Old US Hwy 50 14 15 16 Dayton NV
- CityDayton
- CountyLyon
- Zip Code89403
Property Summary
- 0000 Old US Hwy 50 14 15 16 Dayton NV is a Land for sale in Dayton, NV, 89403. It is listed for $1,375,000 and features 9 acres. To schedule a showing of MLS#260003198 at 0000 Old US Hwy 50 14 15 16 in Dayton, NV, contact your Paradise Real Estate agent at 530-541-2465.
Similar Listings Nearby
Courtesy of Coldwell Banker Select RE CC. Disclaimer: All data relating to real estate for sale on this page comes from the Broker Reciprocity (BR) of the Northern Nevada Regional MLS. Detailed information about real estate listings held by brokerage firms other than Paradise Real Estate include the name of the listing broker. Neither the listing company nor Paradise Real Estate shall be responsible for any typographical errors, misinformation, misprints and shall be held totally harmless. The Broker providing this data believes it to be correct, but advises interested parties to confirm any item before relying on it in a purchase decision. Copyright 2026. Northern Nevada Regional MLS. All rights reserved. 0000 Old US Hwy 50 14 15 16
Dayton, NV




















