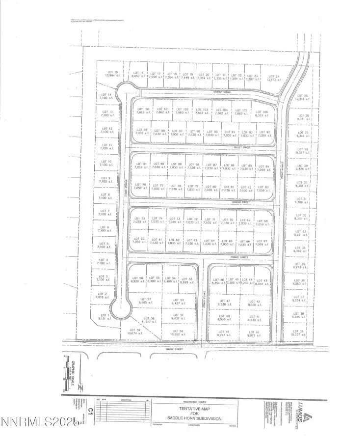
Excellent opportunity for residential Development project. The property is off East Bridge Street and sits just inside Yerington City limits. City water and city sewer are available. original map had 100+ lots with the potential for a few more. Great location near schools, shopping, and services. Stick built homes to the North, South, and West with open Farmland to the East. Property is currently 4 separate parcels, so phasing is simplified. All utilities are at or near property line. Yerington has 3 new mines slated to start up totaling approximately 1500 new jobs. There is also a new Data center proposed that will involve 505 acres, with 14 buildings and 4.6 million square feet. The area is in dire need of additional workforce housing. Owner would consider a carry option with mutually agreed upon terms, first position only. Excellent opportunity to get a jump on the market and put together a nice project of family homes / investments. City has seen the project and were very optimistic about its benefits to the community.
Property Details
Price:
$1,050,000
MLS #:
250057842
Status:
Active
Beds:
0
Baths:
0
Type:
Land
Subdivision:
Mason Townsite
Listed Date:
Nov 5, 2025
Lot Size:
1,287,634 sqft / 29.56 acres (approx)
Schools
Elementary School:
Yerington
Middle School:
Yerington
High School:
Yerington
Interior
Exterior
Other Structures
None
Financial
Taxes
$2,075
Map
Contact Us
Mortgage Calculator
Community
- Address400 E Bridge Street 400/450/500/504 East Bridge Street Yerington NV
- SubdivisionMason Townsite
- CityYerington
- CountyLyon
- Zip Code89447
Property Summary
- Located in the Mason Townsite subdivision, 400 E Bridge Street 400/450/500/504 East Bridge Street Yerington NV is a Land for sale in Yerington, NV, 89447. It is listed for $1,050,000 and features 30 acres. To schedule a showing of MLS#250057842 at 400 E Bridge Street 400/450/500/504 East Bridge Street in Yerington, NV, contact your Paradise Real Estate agent at 530-541-2465.
Similar Listings Nearby
Courtesy of Coldwell Banker Select RE CC. Disclaimer: All data relating to real estate for sale on this page comes from the Broker Reciprocity (BR) of the Northern Nevada Regional MLS. Detailed information about real estate listings held by brokerage firms other than Paradise Real Estate include the name of the listing broker. Neither the listing company nor Paradise Real Estate shall be responsible for any typographical errors, misinformation, misprints and shall be held totally harmless. The Broker providing this data believes it to be correct, but advises interested parties to confirm any item before relying on it in a purchase decision. Copyright 2026. Northern Nevada Regional MLS. All rights reserved. 400 E Bridge Street 400/450/500/504 East Bridge Street
Yerington, NV






































