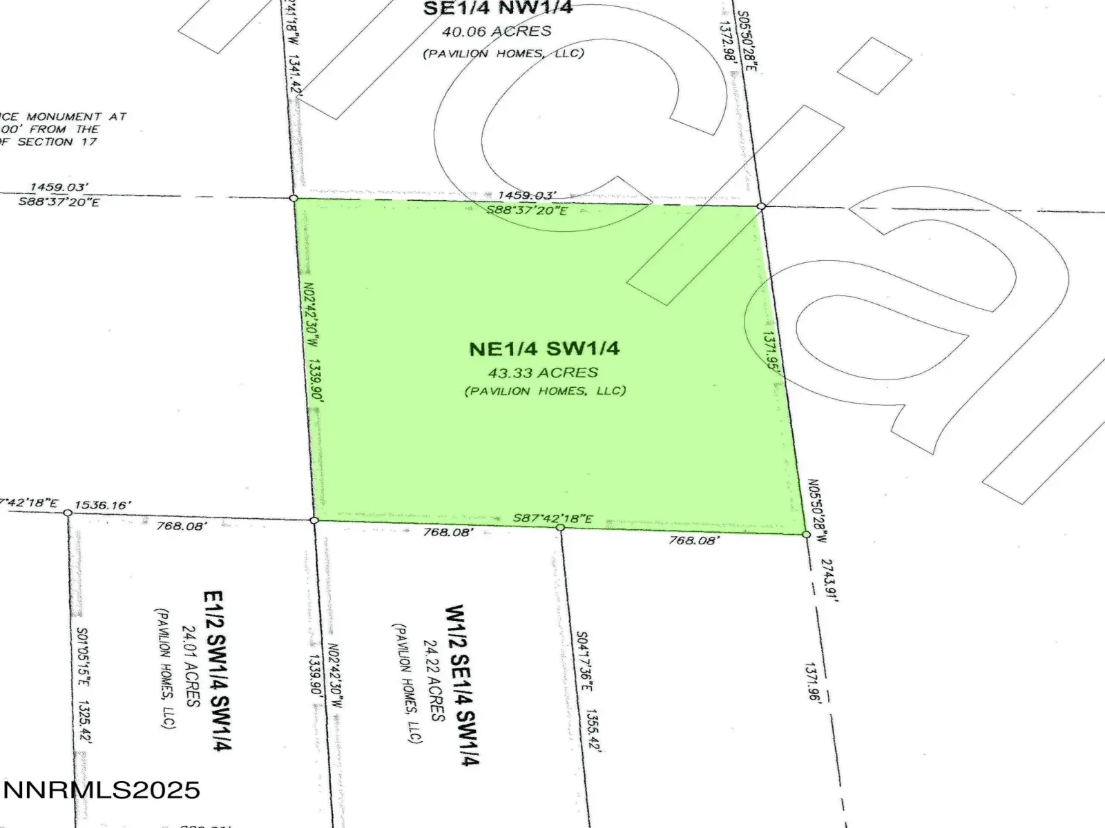
43 ACRES OPEN COUNTRY LAND 43.33+- acres raw land. Near the town of Imlay and the neighborhood of Mill City. A pleasant place for camping and off-road recreation, and/or potentially for your home, family, animals, landscape, views, and quietude. With close proximity to area employers such as the Florida Canyon mine, the planned West Coast Salmon facility, and local businesses, this could prove the perfect location for settling into. Rural, yet easy to get to. Expansive and tranquil views of mountains and desert in all directions. The nearest Interstate 80 interchange is within a 5+- minute drive. Zoned AMR (agriculture, mining, recreation), which allows a wide variety of potential uses including building a home, subject to applicable permitting requirements. Located south of Interstate 80, with easy access to both the Imlay freeway interchange to the west and the Mill City interchange to the east. Three very lightly traveled dirt roads pass by the area and the property from both the east and the west. Services are available nearby both east and west of the property along Interstate 80, primarily at the Imlay and Mill City interchanges. The property is located about 20 minutes west of Winnemucca, 2 hours east of Reno, and 4 hours west of Salt Lake City, all lying along Interstate 80. This is an off-grid location. Solar or wind appear to be the best methods of generating electricity, or alternatively electric lines are located to both the north and the east of the property within less than a mile. Water is typically obtained via private well and sewage disposal via private septic tank. Propane delivery service is available locally. West Star Peak Road is a dirt road which passes by the southwest corner of the property. One or more adjacent parcels may be available if Buyer desires additional acreage; please inquire. Property to be sold as-is, where-is. Buyer to conduct their own due diligence with regards to development possibilities, utilities, etc to ensure property meets Buyer’s needs. Pershing County APN 008-270-22 GPS 40.65056, -118.11500
Property Details
Price:
$38,000
MLS #:
250057008
Status:
Active
Beds:
0
Baths:
0
Type:
Land
Listed Date:
Oct 14, 2025
Lot Size:
1,887,455 sqft / 43.33 acres (approx)
Schools
Elementary School:
Imlay
Middle School:
Pershing
High School:
Pershing
Interior
Exterior
Other Structures
None
Financial
Taxes
$58
Map
Contact Us
Mortgage Calculator
Community
- Address00827022 W Star Peak Rd Imlay NV
- CityImlay
- CountyPershing
- Zip Code89418
Property Summary
- 00827022 W Star Peak Rd Imlay NV is a Land for sale in Imlay, NV, 89418. It is listed for $38,000 and features 43 acres. To schedule a showing of MLS#250057008 at 00827022 W Star Peak Rd in Imlay, NV, contact your Compass agent at 530-541-2465.
Similar Listings Nearby
Courtesy of Desert Acreage. Disclaimer: All data relating to real estate for sale on this page comes from the Broker Reciprocity (BR) of the Northern Nevada Regional MLS. Detailed information about real estate listings held by brokerage firms other than Compass include the name of the listing broker. Neither the listing company nor Compass shall be responsible for any typographical errors, misinformation, misprints and shall be held totally harmless. The Broker providing this data believes it to be correct, but advises interested parties to confirm any item before relying on it in a purchase decision. Copyright 2025. Northern Nevada Regional MLS. All rights reserved. 00827022 W Star Peak Rd
Imlay, NV








