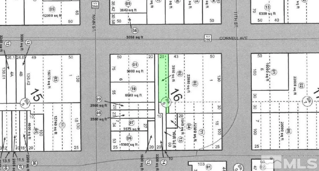
READY-TO-BUILD COMMERCIAL CITY LOT WITH UTILITIES 3,720 sq ft (per Tax Assessor’s map) finished lot at 1070 Cornell Ave, Lovelock, NV 89419. Zoned commercial, on the main thoroughfare through Lovelock, also known as Business Route 80. Only 130 feet from the stoplight at the corner of Cornell Ave and Main St, and highly visible therefrom. Electric, phone, water, sewer, and natural gas are all present along Cornell Ave, readily connectable. City alley adjacent to property along its south side., READY-TO-BUILD COMMERCIAL CITY LOT WITH UTILITIES 3,720 sq ft (per Tax Assessor’s map) finished lot at 1070 Cornell Ave, Lovelock, NV 89419. Zoned commercial, on the main thoroughfare through Lovelock, also known as Business Route 80. Only 130 feet from the stoplight at the corner of Cornell Ave and Main St, and highly visible therefrom. Electric, phone, water, sewer, and natural gas are all present along Cornell Ave, readily connectable. City alley adjacent to property along its south side. Curb, gutter, sidewalk, and driveway existing along street in front of lot. Low building costs thanks to all these preexisting improvements. APN 001-136-02 in Pershing County GPS 40.180354, -118.474093 Directions: I-80 exit 106, go west on Main St, turn right at the stoplight onto Cornell Ave. From this point, property is 130 feet ahead on your right. There is a billboard sign structure and a large apricot tree on the property. Please note if you enter the address into Google Maps, it will show the correct street but may not accurately locate the address on the street.
Property Details
Price:
$20,000
MLS #:
240001197
Status:
Active
Beds:
0
Baths:
0
Type:
Land
Subdivision:
Orig Townsite
Listed Date:
Feb 4, 2024
Lot Size:
3,920 sqft / 0.09 acres (approx)
Schools
Elementary School:
Lovelock
Middle School:
Pershing
High School:
Pershing
Interior
Exterior
Financial
Taxes
$89
Map
Contact Us
Mortgage Calculator
Community
- Address1070 Cornell Avenue Lovelock NV
- SubdivisionOrig Townsite
- CityLovelock
- CountyPershing
- Zip Code89419
Property Summary
- Located in the Orig Townsite subdivision, 1070 Cornell Avenue Lovelock NV is a Land for sale in Lovelock, NV, 89419. It is listed for $20,000 and features 0 acres. To schedule a showing of MLS#240001197 at 1070 Cornell Avenue in Lovelock, NV, contact your Compass agent at 530-541-2465.
Similar Listings Nearby
Courtesy of Desert Acreage. Disclaimer: All data relating to real estate for sale on this page comes from the Broker Reciprocity (BR) of the Northern Nevada Regional MLS. Detailed information about real estate listings held by brokerage firms other than Compass include the name of the listing broker. Neither the listing company nor Compass shall be responsible for any typographical errors, misinformation, misprints and shall be held totally harmless. The Broker providing this data believes it to be correct, but advises interested parties to confirm any item before relying on it in a purchase decision. Copyright 2025. Northern Nevada Regional MLS. All rights reserved. 1070 Cornell Avenue
Lovelock, NV














